Cancún, Mexico — The reef ecosystem in Cancún and the Riviera Maya sustains tourism assets valued at nearly $9 billion by attracting over 12 million visitors annually for activities such as scuba diving and snorkeling, making it vital for both the economy and coastal protection. However, coral banks face a crisis driven by climate change that can be successfully mitigated through new coral fragment transplantation methods.
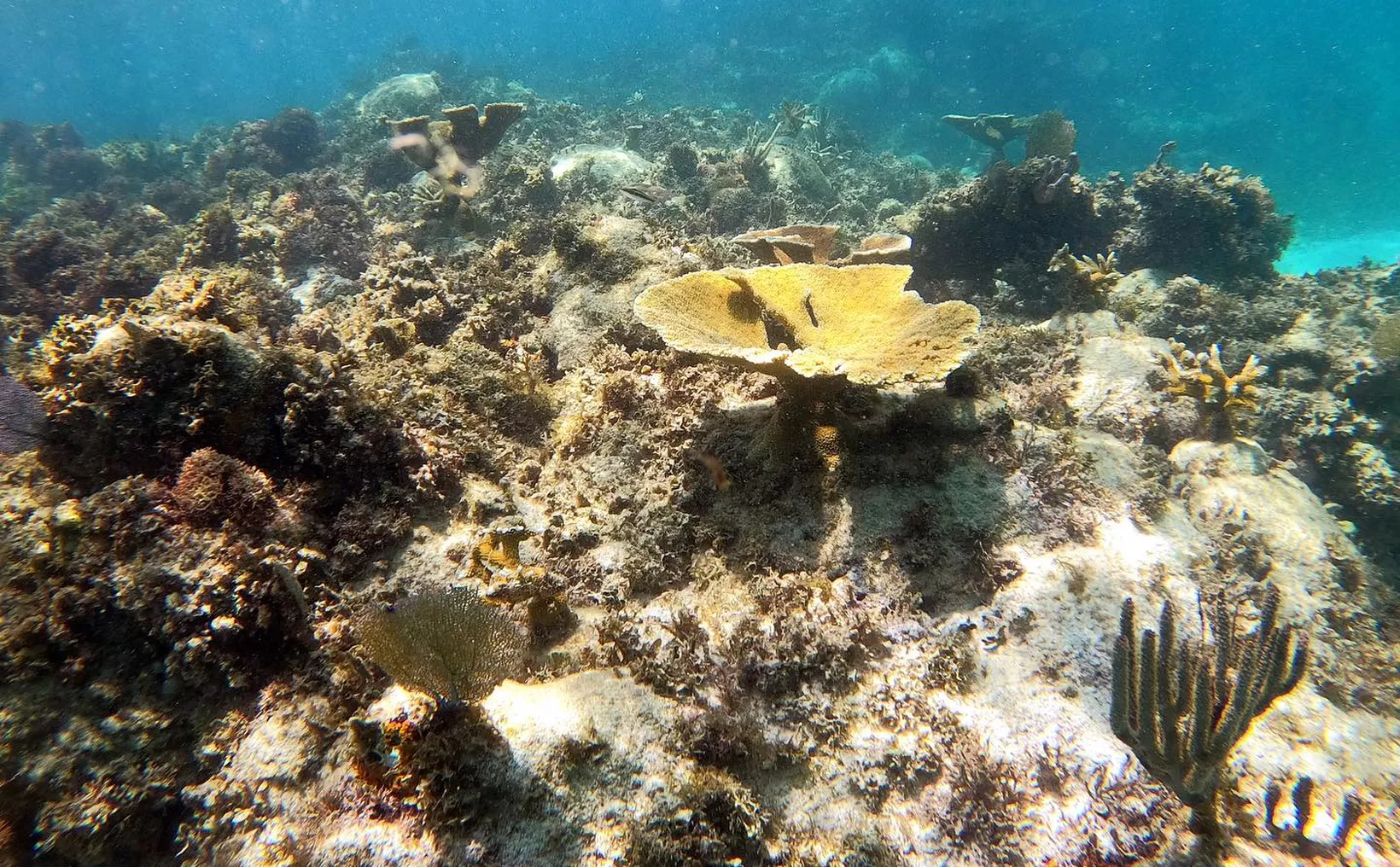
Marina Garmendia Zepeda, executive director of the environmental organization Coralisma Mx, is currently in the monitoring phase of a study focused on the elkhorn coral (Acropora palmata). The research aims to generate the necessary ecological and genetic knowledge to design more effective and resilient restoration strategies. The researcher highlighted that although reefs cover less than 1% of the ocean, they harbor more than 25% of marine life and act as natural barriers that reduce wave energy by up to 97%, protecting coastal communities from storms and hurricanes.
“The reefs of Cancún, Puerto Morelos, and the Riviera Maya sustain tourism assets of nearly $9 billion, attracting over 12 million visitors a year for activities like scuba diving and snorkeling,” she stated.
Nonetheless, in the face of threats like climate change, massive bleaching has been observed, with a visible and devastating impact in recent years.
“When the water temperature increases, corals suffer such great stress that they expel the symbiotic algae that provides them with energy and color. The corals turn white and, if conditions do not improve, they die, losing their ecological and economic value by becoming a dead structure,” she stated.
Other threats include coastal pollution, diseases, and unregulated tourism and fishing, she explained.
The project by the organization dedicated to reef restoration and study, Coralisma Mx, focuses on Acropora palmata, a branched coral that is abundant and essential to the Caribbean ecosystem.
“To carry out the monitoring, a three-dimensional structure is created that shelters fish and invertebrates, contributes to the stability of the reef, and disperses the energy of waves and storms, favoring ecological succession (the colonization by other species),” she explained.
The study focuses on the national parks of the region, including the Costa Occidental National Park of Isla Mujeres, Punta Cancún and Punta Nizuc, and the one in Puerto Morelos.
The researcher explained that after establishing a baseline of information by studying the historical populations of the species, they are in the phase of ecological and genetic monitoring to assess health, density, and recruitment at three priority sites (one in Punta Cancún and two in Isla Mujeres), comparing them with historical data.
“Fifteen colonies per site were selected for a complete genetic analysis that will help identify resistant genotypes, integrating the ecological and genetic data to define more effective and resilient restoration strategies. This includes selecting donor colonies with the best genetics,” she explained.
In this regard, she has successfully tested a coral fragment transplantation method that uses 3D models for more precise monitoring. One year and six months after the fragment transplantation, they have already formed colonies of significant size, demonstrating that it is an effective methodology that they seek to scale with genetic knowledge.
The researcher indicated that, although the outlook is difficult, especially after significant losses from bleaching in 2023 and 2024, the local populations have shown some resistance.
"We saw the presence of disease and tissue loss at all the sites I assessed… but after all that has happened, these are genotypes that have survived… that's why the genetic information is going to be essential to be able to truly carry out a complete restoration."
Discover more from Riviera Maya News & Events
Subscribe to get the latest posts sent to your email.
