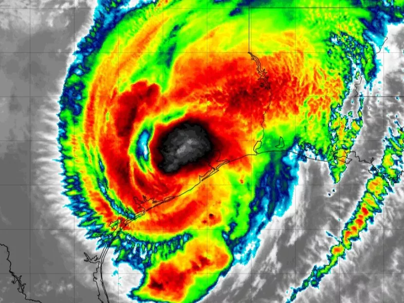
This Monday, Texas was hit by Hurricane Beryl, a Category 1 storm. The hurricane made landfall near Matagorda, a popular resort located southwest of Houston. This information was confirmed by the United States National Hurricane Center (NHC) in a statement released at 04:00 local time.
The NHC emphasized that Beryl is currently moving inland across eastern Texas. The storm brings with it dangerous surges and heavy rainfall, which pose a significant threat to life. Alongside this, damaging winds continue to lash the coastline, keeping the area on maximum alert.
Hurricane Beryl is classified as a Category 1 storm, with sustained winds of between 74 and 95 miles per hour (119 to 153 km/h). Winds of this strength are capable of causing substantial damage to buildings, trees, and power lines. Authorities had predicted power outages due to the hurricane's impact.
As of Monday morning, July 8, approximately 250,000 customers in Texas were without electricity, as reported by poweroutage.us. The National Weather Service has maintained a tornado warning for various regions of the state, including Houston, a city of 2.3 million people located near the hurricane's path.
Discover more from Riviera Maya News & Events
Subscribe to get the latest posts sent to your email.
